My Search Tools:

$900,000 - 120 James Hoskins Lane, Cedar Creek

-
Bedrooms
-
Baths
N/A
SQ. Feet
4
Acres

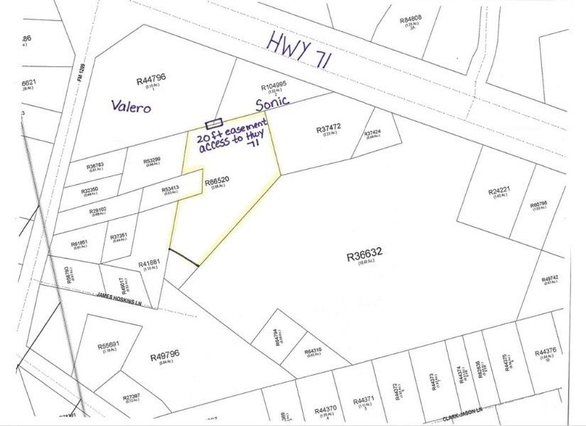
Fantastic opportunity for investor to purchase a 4 acres lot in Cedar Creek Texas in Bastrop County with two easement entrances. One entrance is located off HWY 71 between the Sonic and Valero. The second entrance is of FM 1209. The property is just 8 miles from downtown Bastrop...which is known for its growing population.

Essential Information

  • MLS® #:
    8970702
  • Price:
    $900,000
  • Bathrooms:
    0.00
  • Acres:
    4.00
  • Year Built:
    1940
  • Type:
    Commercial Sale
  • Sub-Type:
    Other
  • Status:
    Active

Community Information

  • Address:
    120 James Hoskins Lane
  • Subdivision:
    Blakey, Nancy
  • City:
    Cedar Creek
  • County:
    Bastrop
  • State:
    TX
  • Zip Code:
    78612

Amenities

  • Utilities:
    Above Ground Utilities
  • Parking:
    Driveway, Gravel

Interior

  • Heating:
    Central

Exterior

  • Construction:
    Frame

Additional Information

  • Zoning:
    None

Property Listed by: Keller Williams - Lake Travis

The information being provided is for consumers' personal, non-commercial use and may not be used for any purpose other than to identify prospective properties consumers may be interested in purchasing.

Based on information from the Austin Board of REALTORS® (alternatively, from ACTRIS) from April 22nd, 2026 at 6:15am CDT. Neither the Board nor ACTRIS guarantees or is in any way responsible for its accuracy. The Austin Board of REALTORS®, ACTRIS and their affiliates provide the MLS and all content therein "AS IS" and without any warranty, express or implied. Data maintained by the Board or ACTRIS may not reflect all real estate activity in the market.

All information provided is deemed reliable but is not guaranteed and should be independently verified.